El huracán ‘Dorian’ llegará a Bahamas convertido en uno de categoría 5: la más potente

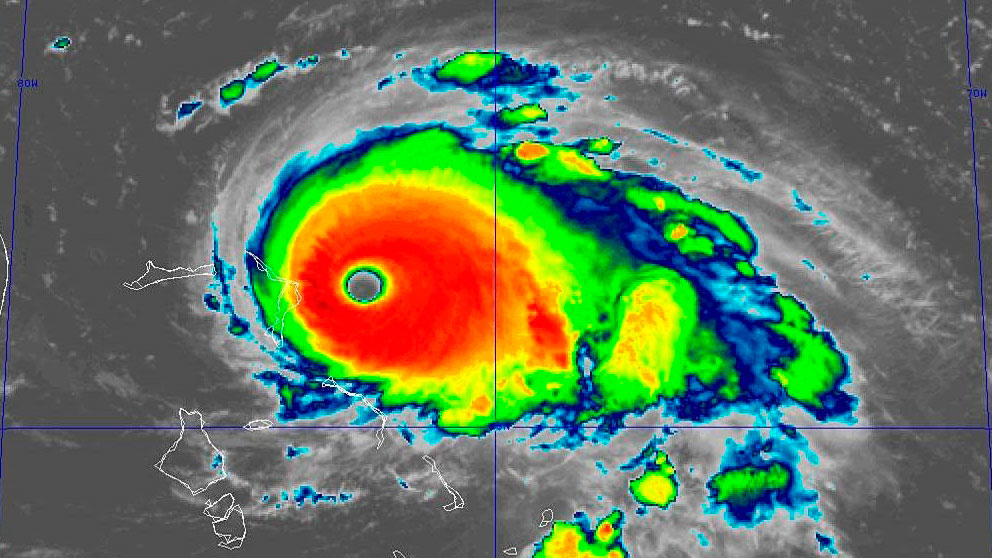
El huracán ‘Dorian’ se ha convertido en uno de los más intensos jamás registrados en el Atlántico al alcanzar vientos de 285 kilómetros por hora justo antes de llegar a las Bahamas, según ha confirmado el Centro Nacional de Huracanes de EEUU.
El gobernador de Florida, Ron DeSantis, ha pedido a la población de la costa este del estado, que el huracán podría alcanzar en los próximos días, que se prepare para una evacuación en el caso de que así lo ordenaran las autoridades. De momento, el huracán está a punto de alcanzar las islas Abaco antes de mantener el rumbo hasta Gran Bahamas.
El centro avisa a los bahameños y a las autoridades del archipiélago que se preparan para «una crecida de las aguas y lluvias torrenciales potencialmente letales».
«Los vientos extremos y la marejada de tormenta continuarán durante varias horas», según el último comunicado del centro. «Se pide a los residentes que se resguarden inmediatamente», añade.
Muy difícil de predecir
En Gran Bahama, miles de personas evacuaron de las zonas donde se espera que impacte ‘Dorian’. «La gente se ha estado preparando desde el miércoles», dijo a AFP el sábado Yasmin Rigby, residente de Freeport, principal ciudad de la isla. «Por ahora, todo está tranquilo afuera, muchas personas ya están en refugios (…) Algunos hacen compras de última hora», contó.
El primer ministro de Bahamas, Hubert Minnis, aumentó sus advertencias a la población. «Pido a todos los residentes de las Bahamas en el paso del huracán Dorian que evacuen y se refugien», tuiteó.
Se espera que el huracán se acerque a la costa este de Florida el lunes por la noche y el martes, pero es difícil predecir con qué intensidad golpeará a ese estado tras su cambio de trayectoria.
«Se está moviendo y es muy difícil de predecir», había dicho el presidente Donald Trump en un tuit el sábado, señalando que Georgia, Carolina del Sur y Carolina del Norte podrían estar en primera línea. El mandatario, que canceló su viaje a Polonia este fin de semana, siguió el sábado la evolución de la situación desde Virginia, a orillas del Potomac, antes de unirse a Camp David. «Es uno de los más grandes y fuertes (y realmente amplios) que hemos visto en décadas. ¡Cuídense!», escribió.
El gobernador de Carolina del Sur, Henry McMaster, declaró emergencia en el estado. «La fuerza y la imprevisibilidad de la tormenta nos obliga a estar preparados ante todos los escenarios», señaló.
El estado de emergencia ya se había declarado en Florida y en una docena de condados en el estado de Georgia. Esta medida permite movilizar mejor los servicios públicos del Estado y recurrir si es necesario a la ayuda federal.
Con la ruta de la tormenta aún incierta, los residentes costeros de Florida no tienen órdenes de evacuación pero se abastecen de alimentos, agua y otros suministros, preparándose para huir de sus hogares.
Aunque Miami probablemente se salvó de la tormenta, sus residentes se mantenían cautelosos y las autoridades continuaron distribuyendo sacos de arena para combatir las inundaciones en la ciudad.
El gobernador republicano de Florida, Ron DeSantis, instó a la gente a «mantenerse alerta». «Estoy en guardia porque todavía puede evolucionar, en las 12 o 24 horas antes de que el huracán llegue a la costa, todo puede cambiar», dijo David Duque, de 30 años. «Vivo en Florida durante 15 años, mejor para prepararme que esperar sin hacer nada».
Florida, una península en el sureste de Estados Unidos, está en la primera línea de la temporada de huracanes cada año. Pero para sus habitantes, la principal amenaza son las inundaciones. Con un relieve muy plano, la costa está particularmente amenazada por el aumento del agua.
Según un coordinador de ayuda, 12.000 soldados están actualmente en Florida a la espera de la llegada de Dorian. El aeropuerto de Orlando, donde los turistas acuden para visitar Disney World, cerrará a las 06H00 GMT del lunes por la mañana.